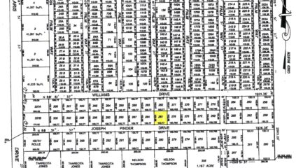
Britannia Subdivision

$40,000
For Sale

Property Details

0 0 0 Land, Multi-Family

Description:

Lot in Britannia 10,37 sq. ft. Multi- Family Listed at: $40,000 or nearest offer.