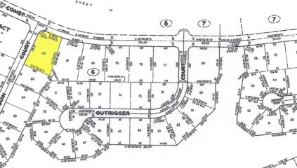
Chesapeake Block 6 Lot #82

$35,000
For Sale

Property Details

0 0 0 Land, Multi-Family

82 Comet Road & Penguin Court, Freeport,

Description:

Located in Chesapeake Corner lot Zoned as Multi-Family Lot size: 29,489 sq. ft. (0.676 acres) Annual Service Charge $160.00